ver 2025/10/27

有辦法根除嗎?

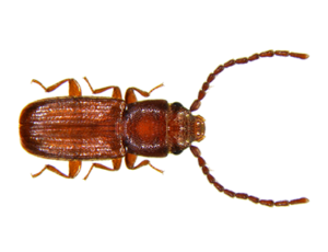
雖能根除,不過,由於粉扁蟲(種類很多,如圖 1、2、3 所示)通常都已孳生在非常隱密處(例如:木材夾層內、潮濕板材內、食材內或地板下),出沒的其實只是小眾,所以不用期待「馬上防治,就能馬上根除」,嚴重時,更是如此。

(圖 1)

(圖 2)

(圖 3)

避免將蟲逼往更隱密處

避免將蟲逼往其他更隱密處,導致更難消滅,最重要的就是,不要隨意噴藥,更不要隨意亂處理(例如:地板鑽洞灌藥,導致地板下方因潮濕引發變形,或孳生更難處理的癭蚋)。

請先暸解一下 “靜態防治”

請仔細瀏覽諸多除潮濕蟲案例,體會客戶找福爾摩斯進行不噴藥的靜態防治後,已數年沒再出現潮濕蟲問題的實例,看完,您就會迅速找到希望。【必先看】

每位客戶的蟲害問題、環境條件都不一樣,對潮濕蟲問題苦無對策時如果您嘗試了各種方法都無法解決,已對潮濕蟲問題苦無對策時不用急著繼續跟潮濕蟲奮戰,您可先用 Line@ 洽詢福爾摩斯以獲取最佳對策。

理想的防治方法【推薦您用】

狀況極其輕微時,亦即只有一個小區域出現,或是一天只看到三兩隻出沒,是可先行購藥自行處理但若感覺害蟲數量偏多或到處出沒(例如:一間房間有之外,客廳和廚房也有),避免不當處理導致狀況越演越烈,建議先委託福爾摩斯專科專員直接到現場進行第一波強效防治利用不噴藥的「潮濕蟲靜態防除工法」有效壓制後,後續再自行維護。

不會奏效的防治方法【千萬別用】

採行「噴殺蟲劑、施放水煙劑、噴漂白水、噴酒精、噴精油、持續開除濕機、持續開空調、看到一隻捏一隻」等方法來防治潮濕蟲,基本上是不會有效果的原因是:以上手段大部分只會迫使潮濕蟲躲到隱密處繼續大量繁衍後代,製造出「問題被解決了」的假象,但一段時間後,待外面環境較不構成威脅時,潮濕蟲就會再度出現,且狀況一定會比之前更嚴重。另外,噴藥、水煙劑的毒性殘留,可能在不知不覺間危害幼童與寵物的健康,請務必提高警覺!

01

找總監提供對策

住在台北、新北市(或其他縣市願意前來)的客戶,潮濕蟲危害狀況嚴重尤其是剛裝潢好的室內環境),可親臨福爾摩斯位於台北市大安區新生南路一段 161 巷 39 號 1 樓的除蟲藥局,由「潮濕蟲靜態防除工法」發明人(福爾摩斯總監)親自為您規劃最合適的防治對策。【建議】

雖為免費制,由於親臨現場洽詢的客戶不少,所以本公司採取「掛號預約」制,以確保服務流程順暢,並讓每位來客都能不用久等。

開放服務的時段:週一至週五 13:00~18:00(因應公司特別勤務,部分時段可能暫停掛號預約,建議您務必事先透過 Line@ 確認預約時間,以節省寶貴時間。)

02

直接線上預約防治

目前蟲害狀況若屬明朗,可預約福爾摩斯專科專員直接前往現場防治(從台北工程部高雄工程部出發);在正式預約前,建議先與 「線上客服專員」詳細研議,我們將依據您的情況,給予專業且貼心的建議,協助您規劃最適合的解決方案。

可受理服務的地區:全台各縣市(含離島

03

上網購藥

狀況不嚴重若想自行進行防治,可直接連結「福爾摩斯蟲控」專業藥局下單購買名為「除潮濕蟲組」的藥劑組合。由於每位客戶所面臨的蟲害狀況和環境條件都不同,當您收到商品後,只要依照包裝內附的小紙條指示,連結到福爾摩斯 Liin@ 客服平台 ,我們將依照您提供的環境現況,提供專屬的用藥細節說明。